Highland Estates Homeowners Association (HEHA) is undertaking a project to improve its roadways. This notice is being posted in advance of the Request for Proposals to give contractors added notice about this project. This notice shall serve only to provide general information about the project. Anticipated publishing of Request for Proposals is expected to occur in the first week of April, 2026 and may be found at djcoregon.com . The anticipated start of construction is May 4, 2026. The estimated construction completion day is June 30, 2026.
Project specific inquiries may be directed to:
Jacquie Puett, Program Coordinator
Columbia Pacific Economic Development District
jacquie@nworegon.org
971-203-6547
Project Location
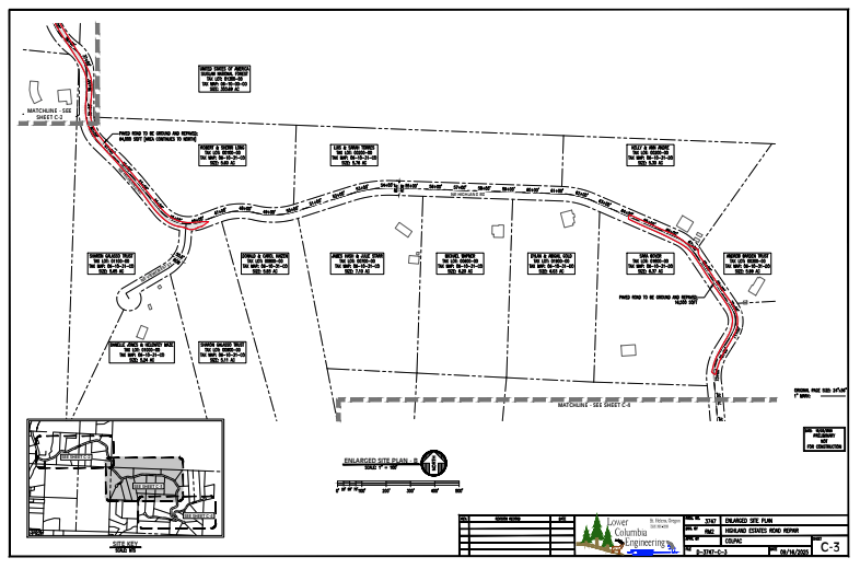
Otis, Lincoln County, Oregon
Starting at the intersection of NE Highland Rd and Highway 101 (milepoint 111.05), terminating approximately 1.6 miles uphill at the end of NE Highland Rd. Note that work is not expected along the entire 1.6 miles to the terminus. See Project Description for more detail. See attached preliminary plans.
Project Description
This project calls for milling and repaving of approximately 100,000 sqft of damaged and aging existing paved roadway. NE Highland Rd is part of a road network used by HEHA residents and extends to a few side roads. Along NE Highland Rd, the roadway alternates from portions of pavement to crushed rock and back to pavement multiple times. For this project, only specifically outlined portions of the existing pavement will be worked on.
See the attached preliminary site plan for further illustration of these areas. Note that areas and construction details are subject to change prior to publishing the Request for Proposals. This notice is just meant to provide general project information.
Note that work includes the access point to Highway 101. In coordination with ODOT it is understood that the proposed construction timeline imposes limited work windows on any work that would affect ODOT Right-of-Way traffic and would require traffic control. This includes no-lane-closure-days and limited work hours (7PM – 6AM only). These limitations are expected to apply for the westernmost portion of work only. All other portions of road improvements are expected to be completed without impact to ODOT Right-of-Way traffic.
Furthermore, the selected contractor will be expected to have a certified inspector capable of performing DEQ ESC inspections related to the project’s 1200-C permit. The project engineer will obtain the 1200-C permit prior to construction beginning but the related inspections and BMP maintenance will be the responsibility of the contractor.
Further project specific details will be included in the official Request for Proposals.




SUBSCRIBE TO OUR NEWSLETTER
Contact Information
© 2026 Columbia Pacific – All Rights Reserved | Made With ❤ By Birdee Media